Landratsamt plant für 88 Flüchtlinge an der Saazer Straße. Christsoziale monieren Umfang und Standort sowie fehlende Kommunikation mit Anliegern.
(ty) Das Landratsamt will an der Saazer Straße im Stadtgebiet von Pfaffenhofen eine vorübergehende Asyl-Unterkunft errichten. Geplant ist nach offiziellen Angaben eine Anlage, die insgesamt 72 Container umfasst und für 88 Personen ausgelegt ist. Der Planungs-, Bau- und Umwelt-Ausschuss des Stadtrats hat mit mehrheitlichem Beschluss das städtische Einvernehmen bereits erteilt – gegen die Stimmen der CSU. Die Christsozialen kritisieren den Umfang des Vorhabens als "nicht gebietsverträglich" und bezweifeln, dass dieses Vorhaben "in einem faktisch reinen Wohngebiet bauplanungs-rechtlich" zulässig ist. Jedenfalls fordert die CSU eine Reduzierung der Zahl an anvisierten Wohneinheiten sowie den Dialog mit den Anwohnern. Man sehe es als "schwerwiegendes Versäumnis des Landratsamts und der Stadt an, dass keine Kommunikation mit den Anliegern im Vorfeld stattfand".
Ihre Sichtweise haben die Pfaffenhofener Christsozialen auch in einem Schreiben an Bürgermeister Thomas Herker (SPD) und Landrat Albert Gürtner (FW) dargelegt, das vom Mittwoch dieser Woche datiert und unserer Redaktion vorliegt. Der Planungs-, Bau- und Umwelt-Ausschuss des Stadtrats hatte sich am 16. Februar mit dem "Antrag auf Baugenehmigung zur Errichtung einer Asylbewerber-Unterkunft in Pfaffenhofen (befristet auf drei Jahre) in der Saazer Straße, Fl.-Nrn. 1345/27, ~/31 und ~/33, Gem. Pfaffenhofen" befasst. Das Gremium folgte mit 9:4 Stimmen dem Vorschlag der Stadtverwaltung, das städtische Einvernehmen sowie die notwendigen Befreiungen vom Bebauungsplan und Abweichungen von der Kfz-Stellplatz-Satzung zu erteilen.

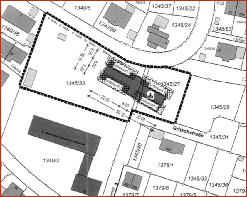
Lageplan (aus den Unterlagen für die Sitzung des Bau-Ausschusses).
Die Fläche, um die es geht, gehört laut CSU bereits dem Kreis Pfaffenhofen. Die geplante Asyl-Unterkunft soll laut Vorlage für die besagte Sitzung des Planungs-, Bau- und Umwelt-Ausschusses aus einer Container-Anlage für insgesamt 88 Personen bestehen. Sie sei gegliedert in insgesamt 72 Wohn-, Sanitär-, Küchen- und Aufenthalts-Container. Die zur Bebauung vorgesehenen Grundstücke liegen den Angaben zufolge im Geltungs-Bereich des städtischen Bebauungsplans Nummer 90 ("Ziegelstadel"); zur Umsetzung dieses Vorhaben sind hier etliche Befreiungen von dessen Festsetzungen notwendig. Genannt werden unter anderem die Überschreitung der Baugrenzen, die Überbauung der für einen öffentlichen Fußweg bestimmten Fläche und die Überschreitung der maximalen Zahl von Wohneinheiten.
Außerdem geht es, wenig überraschend, um die Nicht-Einhaltung der festgesetzten Gestaltung eben durch die Container-Bauweise sowie – sozusagen damit verbunden – auch um die Nicht-Einhaltung der festgesetzten Dachform und um die Nicht-Einhaltung der festgesetzten Dach-Eindeckung. Außerdem seien Abweichungen von der Kfz-Stellplatz-Satzung erforderlich. "Alle beantragten Befreiungen und Abweichungen werden damit begründet, dass hier temporäre Unterkunftsplätze für Asyl-Suchende bereitgestellt werden sollen und es sich demzufolge bei der geplanten Bebauung um eine temporäre Sonder-Situation handelt", heißt es in der Sitzungs-Vorlage. Und: "Aus bauamtlicher Sicht könnte dem zugestimmt werden." Dem folgte der Bau-Ausschuss dann auch mehrheitlich und erteilte das städtische Einvernehmen – gegen die Stimmen der CSU.
"Natürlich sehen wir bei der Unterbringung von Asylbewerbern den steigenden Handlungsdruck der Kommunen, weil die Bundesregierung in der Frage keinerlei Lösungen anbietet", erklärt Christian Moser, Sprecher der CSU-Fraktion im Pfaffenhofener Stadtrat und Mitglied des Kreistags. "Außerdem ist es grundsätzlich richtig, Asylbewerber nicht fernab der Zivilisation unterzubringen, sondern auch örtlich in die Gemeinschaft zu integrieren." Die CSU-Fraktion und der CSU-Ortsverband kritisieren seinen Worten zufolge jedoch, dass nun "auf einen Schlag 72 Container für 88 Personen inmitten eines Wohngebiets" errichtet werden sollen. "Wir halten einen derartigen Umfang dieses Vorhabens in der Saazer Straße für nicht gebietsverträglich."

Geplante Container-Anlage (aus den Unterlagen für die Sitzung des Bau-Ausschusses).
"Die Erfahrungen der Flüchtlingskrise 2015 bis 2017 haben gezeigt, dass es bei der konzentrierten Unterbringung einer derart großen Zahl an Asylbewerbern in einer Gemeinschafts-Unterkunft inmitten eines Wohngebiets oftmals zu Verletzungen des Rücksichtnahme-Gebots kommt und die Belange der Anwohner nicht geachtet werden", heißt es in dem Schreiben in Gürtner und Herker, das von Moser und vom CSU-Ortsvorsitzenden Markus Hartmann unterzeichnet ist. "Auch die Integration der Asylbewerber in die Gemeinschaft fällt bei derart großen Gemeinschafts-Unterkünften erfahrungsgemäß schwerer." Weiter heißt es in dem Brief: "Auch hegen wir Zweifel, ob das konkrete Vorhaben in einem faktisch reinen Wohngebiet bauplanungs-rechtlich zulässig ist."
Die CSU verweist diesbezüglich auf mehrere Gerichts-Beschlüsse: "Die intensive Auseinandersetzung der Rechtsprechung mit diesem Thema zeigt – selbst wenn man zu einer anderen rechtlichen Auffassung kommen sollte – das besondere Bedürfnis für ein umsichtiges Handeln in Wohngebieten auf." Jedenfalls bitten die Christsozialen in ihrem Schreiben an Landrat und Bürgermeister darum, "das geplante Vorhaben hinsichtlich seines Umfangs nochmals zu überdenken und gemeinsam eine gebietsverträgliche Lösung mit deutlich weniger Wohneinheiten in der Saazer Straße anzustreben". Bei der CSU sei man sich sicher, "dass sich im Pfaffenhofener Stadtgebiet Alternativen finden lassen, um Asylbewerber dezentraler und damit sinnvoller zu verteilen".
Ungeachtet dessen kritisiert die CSU den Umgang mit den Anwohnern. "Wir sehen es als schwerwiegendes Versäumnis des Landratsamts und der Stadt an, dass keine Kommunikation mit den Anliegern im Vorfeld stattfand", so Moser und Hartmann. "Aufklärung und Transparenz sind in solchen Fragen – auch das zeigen die Erfahrungen der Jahre 2015 bis 2017 – das Gebot der Stunde. Bis zum heutigen Tag ist weder das Landratsamt noch die Stadt an die Anwohner der Saazer Straße herangetreten." Moser: "Wir sollten aus den Fehlern der Flüchtlingskrise 2015 bis 2017 lernen. Integration und Akzeptanz sind die Grundvoraussetzungen für ein gutes Miteinander. Landratsamt und Stadt täten gut daran, jetzt tätig zu werden und in den Dialog mit den Anwohnern zu gehen – auch um bestehende Ängste zu nehmen."